Range Folding and the Doppler Dilemma
In order to scan as much of the atmosphere as possible, the WSR-88D employs a volumetric scanning strategy in which the antenna not only scans near the ground, but raises through multiple elevation angles to obtain data in the vertical. This gives forecasters a better picture of the depth and intensity of storms, and is particularly useful when there are storms near the radar.
To better understand the use of VCPs, we’ll start with the two basic operating modes: clear air mode and precipitation mode. As the name suggests, clear air mode is used when the weather is quiet. Instead of constantly scanning through all possible elevation angles, the radar antenna will slow down and scan fewer angles to reduce wear on the components. Once the radar detects precipitation while scanning in clear air mode, it will automatically switch over to precipitation mode. In precipitation mode, the radar antenna will speed up and scan 14 or 15 elevation angles, depending on the VCP in use.
Clear Air Mode
While in clear air mode, forecasters have two VCP options to choose from, VCP 31 or VCP 35. The default clear air VCP is 35, and most WSR-88D radars will operate in VCP 35 when the weather is quiet. Occasionally, this VCP can also be used when there is very light rain or drizzle and no thunderstorms are expected. VCP 35 scans 9 elevation angles in 7 minutes.
The other clear air VCP that is available to forecasters is VCP 31. This is a special VCP that employs a long transmission pulse. Recall from earlier that the radar can operate in short pulse or long pulse mode. VCP 31 is the only long pulse VCP available to forecasters. The transmitted pulse is 4.7 millionths of a second long, compared to the 1.57 millionths of second in short pulse mode. This longer transmission time significantly increases the power density of the transmitted pulse thereby significantly increasing the sensitivity of the radar. For this reason, VCP 31 is often used in the winter to help detect snow and freezing drizzle despite it being a clear air VCP. Since these types of precipitation often return little power back to the radar, VCP 31 and its increased sensitivity can be helpful in showing where this precipitation is occurring. VCP 31 is a slow VCP, with the antenna rotating much slower than when there are active thunderstorms. The VCP scans 5 elevation angles in around 10 minutes.
Precipitation Mode
When precipitation is detected by the radar, it will automatically switch over to precipitation mode, which gives forecasters four options to choose from. The default precipitation VCP is either VCP 12 or 212. We’ll discuss the difference between them later, but VCP 12 or 212 provides forecasters with 14 elevation scans in around 4 ½ minutes. This scanning strategy is best for rapidly developing thunderstorms and severe weather detection.
Other precipitation VCP options include VCP 215 which scans 15 elevation angles in around 6 minutes. This VCP offers the best vertical resolution of any VCP, but the antenna rotates slower. This slower antenna rotation rate allows for higher quality data, but at a time cost. VCP 215 is best used for general surveillance (widespread rain or snow without intense thunderstorms).
The last precipitation VCP is 112. This is a special VCP that scans the same elevation angles as 12 and 212 (14 angles), but it utilizes a unique velocity algorithm to maximize velocity data quality. VCP 112 is often used in the vicinity of tropical cyclones where precise velocity data can be difficult to obtain. VCP 112 scans 14 elevation angles in around 5 ½ minutes.
So What’s the Difference between VCP 12, 112, and 212 and what is Range Folding?
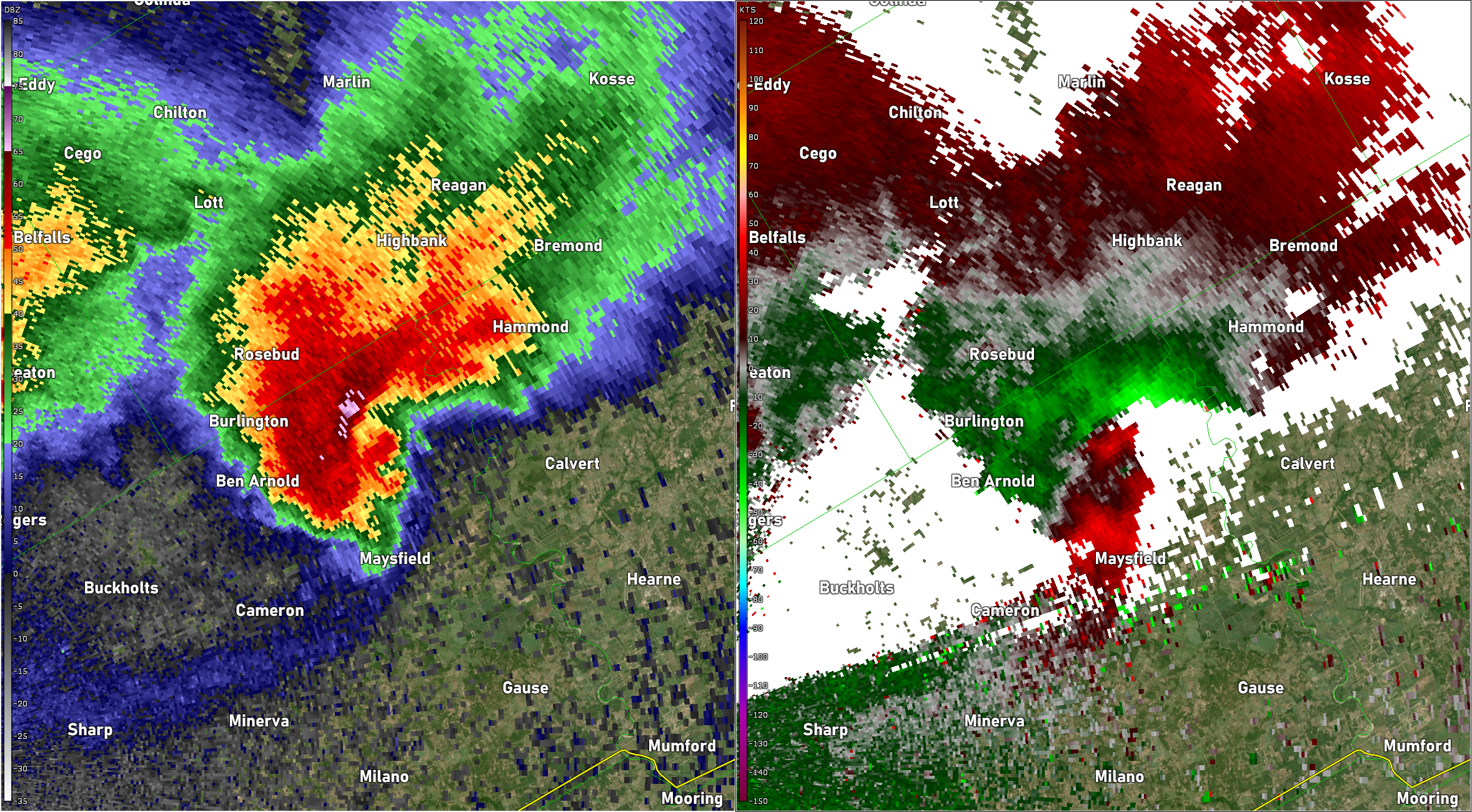
VCPs 12, 112, and 212 all scan the same elevation angles but are used in different ways, primarily to improve velocity estimation. The default and fastest VCP is 12, however, velocity data can sometimes be obscured due to a phenomenon called range folding. Range folding is a common problem with pulsed doppler radars and occurs when the radar transmits a pulse that hits a target, but cannot get back to the receiver before the next pulse is transmitted. The returned energy eventually makes it back to the radar, but the radar doesn’t know which transmitted pulse it came from. The WSR-88D employs a range-unfolding algorithm to try to recover the data, but if it can’t figure it out, then the data is lost.
One range unfolding algorithm is known as SZ-2 (Sachdananda-Zrnic) and is employed by VCP 212. The SZ-2 range unfolding algorithm requires that the antenna rotate at a specified rate, with exactly 64 transmitted pulses per 1° of antenna rotation. This adds about 30 seconds to the total volume scan time, so VCP 212 is a little slower than VCP 12, but the velocity data is usually improved significantly.
Landfalling tropical cyclones often pose significant velocity challenges to pulsed doppler radars as wind speeds are often very strong and the winds blow in a circular direction around the center of the storm. In certain circumstances, even VCP 212 is not sufficient to unfold all of the velocity data. In these cases, VCP 112 can be used, which employs not only the SZ-2 range unfolding algorithm but also the multiple PRF dealiasing algorithm. In VCP 112, the lowest elevation angles are scanned multiple times using different pulse repetition frequencies to obtain the best quality data. This rescanning adds time to the overall volume scan and isn’t suitable for general severe weather, but is optimal for slower landfalling tropical systems.
Why is there no range folding in the reflectivity images? What is the Doppler Dilemma?
Range folding can occur in the reflectivity data, but this data loss would be a significant hindrance to forecasters trying to warn for severe weather. Therefore, the WSR-88D performs something called split-cut scanning to mitigate range folding in the reflectivity data and maximize the data quality of velocity estimates. Remember from above that range folding occurs when the radar transmits a pulse and it hits a target, but cannot get back to the radar before the next pulse is transmitted. If the radar cannot determine which pulse the returned energy came from, then it is range folded.
In order to eliminate range folding in the reflectivity data and to see precipitation out a good distance from the radar, the WSR-88D will scan the lowest 3 elevation angles (0.5°, 0.9°, and 1.3°) twice. The first scan is done using a low PRF (pulse repetition frequency). PRF is the number of pulses that are transmitted per second. The lower the PRF, the farther the pulse can travel and hit a target and still get back to the receiver before the next pulse is transmitted. This is good for reflectivity because it allows us to see precipitation in excess of 200 miles from the radar.
However, there is a downside to a low PRF. The lower the PRF, the lower the maximum velocity that can be detected. Recall from the “How Radar Works” section that velocity data is obtained from the phase shift of the returned pulse. If the phase shift is greater than 180°, then an ambiguity is introduced into the velocity data, which is called an alias. The maximum velocity that can be detected without introducing an ambiguity is called the Nyquist Velocity.
In order to keep the high quality reflectivity data and obtain high quality velocity data, the WSR-88D needs to do a second scan utilizing a much higher PRF. A higher PRF results in a higher Nyquist Velocity and much better velocity estimates. As you can imagine, there is a downside to using a high PRF. The transmitted pulse can only go out so far to hit its target and still get back to the receiver before the next pulse is transmitted. The maximum range that can be achieved without introducing an ambiguity is called the Maximum Unambiguous Range.
So, it seems we have a dilemma. No single pulse repetition frequency will maximize both range and velocity data. This is known as the Doppler Dilemma. An example of the impacts of using a low PRF and a high PRF are shown below.
|
Product |
PRF |
Maximum Range |
Maximum Velocity |
|
Reflectivity |
Low (~320/second) |
290 miles |
18 mph |
|
Velocity |
High (~1300/second) |
72 miles |
71 mph |
In order to maximize both the range and the velocity, the WSR-88D must scan the lowest elevation angles twice, once using a low PRF and once using a high PRF. The low PRF scan is completed in 17 seconds and the high PRF scan is completed in 11 seconds.