Fast Facts
One rare exception to the lack of tropical cyclones near the equator was Typhoon Vamei which former near Singapore on December 27, 2001.
With its circulation center at 1.5°N, Typhoon Vamei's circulation was on both sides of the equator. U.S. Naval ships reported maximum sustained surface wind of 87 mph (140 km/h) and gust wind of up to 120 mph (193 km/h).
Since tropical cyclone observations started in 1886 in the North Atlantic and 1945 in the western North Pacific, the previous recorded lowest latitude for a tropical cyclone was 3.3°N for Typhoon Sarah in 1956.
Fast Facts
One rare exception to the lack of tropical cyclones near the equator was Typhoon Vamei which former near Singapore on December 27, 2001.
With its circulation center at 1.5°N, Typhoon Vamei's circulation was on both sides of the equator. U.S. Naval ships reported maximum sustained surface wind of 87 mph (140 km/h) and gust wind of up to 120 mph (193 km/h).
Since tropical cyclone observations started in 1886 in the North Atlantic and 1945 in the western North Pacific, the previous recorded lowest latitude for a tropical cyclone was 3.3°N for Typhoon Sarah in 1956.
A tropical cyclone is a warm-core low pressure system, without any front attached, that develops over the tropical or subtropical waters and has an organized circulation. These include hurricanes and typhoons.
There are several favorable environmental conditions that must be in place before a tropical cyclone can form. They are:
- Warm ocean waters (at least 80°F / 27°C) throughout a depth of about 150 ft. (46 m).
- An atmosphere which cools fast enough with height such that it is potentially unstable to moist convection.
- Relatively moist air near the mid-level of the troposphere (16,000 ft. / 4,900 m).
- Generally, a minimum distance of at least 300 miles (480 km) from the equator.
- A pre-existing near-surface disturbance.
- Low values (less than about 23 mph / 37 km/h) of vertical wind shear between the surface and the upper troposphere. Vertical wind shear is the change in wind speed with height.
North Atlantic Ocean, the Gulf of America, and the Caribbean Sea
The hurricane season is officially from June 1 to November 30. Peak activity is in early to mid September. Occasionally, there may be a tropical cyclone that occurs in May or December.
Northeast Pacific basin (Mexico to about the dateline)
A broad peak with activity beginning in late May or early June and going until late October or early November, with a peak in storminess in late August/early September.
Northwest Pacific basin (From the dateline to Asia, including the South China Sea)
Occur regularly all year, although there is a distinct minimum in February and the first half of March. The main season goes from July to November with a peak in late August/early September.
North Indian basin (Including the Bay of Bengal and the Arabian Sea)
Tropical cyclones occur from April to December, with a double peak of activity in May and November. The severe cyclonic storms (>74 mph / 119 km/h winds) occur almost exclusively from April to June and again in late September to early December.
Southwest Indian basin (From Africa to about 100°E)
Late October/early November to May, with a double peak in activity in mid-January and mid-February/early March.
Southeast Indian/Australian basin (100°E to 142°E)
Late October/early November to May, with a double peak in activity in mid-January and mid-February/early March. A lull in activity in February is a bit more pronounced than the Southwest Indian basin's lull.
Australian/Southwest Pacific basin (142°E to about 120°W)
Begins in late October/early November, reaches a single peak in late February/early March, and then fades out in early May.
The need for warm water
Warm water powers the tropical cyclone and is the most important factor in its development. As water vapor (water in the gaseous state) rises, it cools.
This cooling causes the water vapor to condense into liquid, which we see as clouds. In the process of condensation, heat is released.
This heat warms the atmosphere, making the air lighter, which then continues to rise. As it does, more air moves in near the surface to take its place, which is the strong wind we feel from these storms.
Therefore, once the center of the storm (the "eye") moves over land, it will begin to weaken rapidly, not because of friction, but because the storm lacks the moisture and heat that the ocean provided.
This depletion of moisture and heat hurts the tropical cyclone's ability to produce thunderstorms near the storm center. Without this convection, the storm rapidly diminishes.
However, warm water alone is not enough for the formation of a tropical cyclone. There also needs to be a disturbance in the atmosphere, such as:
- Easterly Waves: Also called tropical waves, this is an inverted trough of low pressure moving generally westward in the tropical easterlies. A trough is defined as a region of relative low pressure. The majority of tropical cyclones form from easterly waves.
- West African Disturbance Line (WADL): This is a line of convection (similar to a squall line) which forms over West Africa and moves into the Atlantic Ocean. WADLs usually move faster than tropical waves.
- TUTT: A TUTT (Tropical Upper Tropospheric Trough) is a trough or cold core low in the upper atmosphere which produces convection. On occasion, one of these develops into a warm-core tropical cyclone.
- Old Frontal Boundary: Remnants of a polar front can become lines of convection and occasionally generate a tropical cyclone. For Atlantic Ocean storms, this will occur early or late in the hurricane season in the Gulf of America or Caribbean Sea.
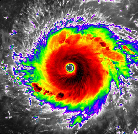
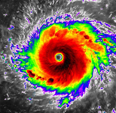
Global heat transfer through tropical cyclones
Video file
This NASA movie is Hurricane Wilma in October, 2005, showing the life of the storm.
The color of the ocean represents sea surface temperature – orange and red indicate temperatures of 82°F (28°C) or greater.
As Wilma moves northwest, then eventually northeast, the water temperature decreases (indicated by the color change to light blue) after the storm passes a particular location. This is the result of the heat being removed from the ocean and provided to the storm.
This transfer of heat shows the global impact of tropical cyclones. They take heat stored in the ocean and transfer it to the upper atmosphere, where the upper level winds carry that heat to the poles. This keeps the polar regions from being as cold as they could be and the tropics a bit cooler.
There have sometimes been suggestions for mitigating tropical cyclones, such as "seeding" storms with chemicals to decrease their intensity or dropping water-absorbing material into the storm to soak up some of the moisture. Some have even suggested using nuclear weapons to disrupt the circulation, thereby decreasing the intensity.
While well meaning, these suggestions vastly underestimate the amount of energy generated and released by tropical cyclones.
Additionally, even if we could disrupt these storms, it would not be advisable. Since tropical cyclones help regulate the Earth's temperature, any decrease in tropical cyclone intensity would mean the oceans retain more heat.
Over time, the build-up of heat could possibly enhance subsequent storms and lead to more numerous and/or stronger events.
There has also been much discussion about the abnormally high number of storms for the 2005 Atlantic basin (27 named storms including 15 hurricanes). Compared to the age of the Earth, our knowledge about tropical cyclone history is only very recent.
Only since the advent of satellite imagery in the 1960's do we have any real ability to count, track, and observe these systems across the vast oceans. Therefore, we will never know the actual record number of tropical cyclones in the Atlantic Oceans.
Read about tropical cyclone myths from the Hurricane Research Division of the Atlantic Oceanographic & Meteorology Laboratory.
Fast Facts
One rare exception to the lack of tropical cyclones near the equator was Typhoon Vamei which former near Singapore on December 27, 2001.
With its circulation center at 1.5°N, Typhoon Vamei's circulation was on both sides of the equator. U.S. Naval ships reported maximum sustained surface wind of 87 mph (140 km/h) and gust wind of up to 120 mph (193 km/h).
Since tropical cyclone observations started in 1886 in the North Atlantic and 1945 in the western North Pacific, the previous recorded lowest latitude for a tropical cyclone was 3.3°N for Typhoon Sarah in 1956.