10 greatest sightings, so far, from NOAA’s exploration of the deepwater Pacific

Last leg of extensive research mission begins September 6

NOAA Ship Okeanos Explorer (right) in port on Ford Island, Pearl Harbor, Hawaii, before the first remotely operated vehicle expedition of CAPSTONE in July 2015.

NOAA Ship Okeanos Explorer (right) in port on Ford Island, Pearl Harbor, Hawaii, before the first remotely operated vehicle expedition of CAPSTONE in July 2015. (Image credit: NOAA)

Today, the NOAA Ship Okeanos Explorer is embarking on the last leg of NOAA’s three-year mission to explore the deep Pacific Ocean when it heads to the Musicians Seamounts and the Hawaiian Islands.

Starting September 7, you, too, can join the expedition virtually by following the live video streamed by a remotely operated vehicle (ROV) diving down to the seafloor near Musicians Seamounts. Dives will continue through September 29, usually between 2:00 p.m.–12:00 a.m. Eastern, depending on weather and ocean conditions.

As the Okeanos sets out on its final research leg of this mission, we invite you to take a photo and video journey through the 10 greatest sightings – to date – made during NOAA’s CAPSTONE mission, a multiyear effort to collect baseline information to support science and management decisions in and around U.S. marine protected areas in the central and western Pacific.

And now, the Top 10 sightings from NOAA’s CAPSTONE mission:

 

1. The largest sponge known in the world

On August 12, 2015, the team aboard NOAA Ship Okeanos Explorer observed the largest sponge known in the world, found at a depth of 2,134 meters within the Papahānaumokuākea Marine National Monument. The sponge was close to 12 feet long by 7 feet wide, practically as big as a minivan!
Largest sponge known in the world(NOAA Office of Ocean Exploration and Research, 2015 Hohonu Moana: Exploring Deep Waters off Hawai’i)

2. A potential new species of octopod

On February 27, 2016, while exploring at depths of over 4,000 meters northeast of Necker Island in the Hawaiian Archipelago, the Okeanos team encountered this ghostlike octopod, which is almost certainly an undescribed species and might not belong to any described genus (that is, a group of related animals or plants that includes many different species).
Ghost-like octopod(NOAA Office of Ocean Exploration and Research, Hohonu Moana 2016)

3. Sighting of a Crossota jellyfish

This stunning jellyfish was seen in the Marianas Trench Marine National Monument on April 24, 2016, while exploring the informally named “Enigma Seamount” at a depth of about 3,700 meters. Scientists identified this hydromedusa as belonging to the genus Crossota. And yes, despite the surreal quality of the footage, it is indeed 100 percent real.
Sighting of a Crossota jellyfish(NOAA Office of Ocean Exploration and Research, 2016 Deepwater Exploration of the Marianas)


4. The first live sighting of ghost-like fish

This fish, measuring about 10 centimeters long, was seen while exploring a ridge feature at a depth of about 2,500 meters on July 1, 2016. This is the first time that a fish in the family Aphyonidae had ever been seen alive, experts said. We now have the first evidence of where these fish live. Seeing these fish in their natural habitat will help us begin to understand the organism’s life.
Ghost-like fish(NOAA Office of Ocean Exploration and Research, 2016 Deepwater Exploration of the Marianas)

5. An underwater vent gushing metal particles 

This gushing hydrothermal vent was captured on camera for the first time on May 1, 2016, during the Deepwater Exploration of the Marianas. The 30-meter-high underwater vent was spewing high-temperature liquid thick with metal particulates. The area around it is home to exotic species including Chorocaris shrimp, Munidopsis squat lobsters, Austinograea crabs, limpets, mussels and snails.
Gushing hydrothermal vent(NOAA Office of Ocean Exploration and Research, 2016 Deepwater Exploration of the Marianas)

6. A first look at historic Japanese mini-submarines near Pearl Harbor, Hawaii

(NOAA Office of Ocean Exploration and Research)

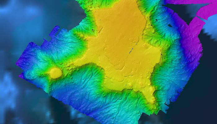
7. Maps of hundreds of thousands of square kilometers of seafloor 

Mapping the seafloor has revealed features, such as seamounts, that we did not know existed. The mapping done in the last three years is one of the most important datasets the mission has produced; it’s information that is valuable to science, resource management and national security. Mapping is a foundational step in all ocean exploration. NOAA Ship Okeanos Explorer is equipped with four types of mapping sonars that allow us to gather high-resolution bathymetric (depth measurements of the ocean floor)
Map of the seafloor(NOAA Office of Ocean Exploration and Research, 2016 Hohonu Moana)

8. A fierce battle between a shrimp and a dragonfish

On March 27, 2017, while diving at a depth of around 998 meters at Ufiata Seamount within the Tokelau Seamount Chain, scientists witnessed a fierce battle between a caridean shrimp (Heterocarpus) and a type of midwater dragonfish. Deep-sea shrimp have typically been observed as scavengers –  not hunters – and scientists wonder how this shrimp was able to capture the fish.
Battle between a shrimp and a dragonfish(NOAA Office of Ocean Exploration and Research, Discovering the Deep: Exploring Remote Pacific MPAs)

9. A rare sighting of brittle stars capturing a swimming squid

(NOAA Office of Ocean Exploration and Research, Mountains in the Deep: Exploring the Central Pacific Basin)

10. A fascinating journey through a new frontier 

On May 6, 2017, while operating in the Jarvis Unit of the Pacific Remote Islands Marine National Monument, the Okeanos Explorer team conducted a series of midwater surveys from 1,400 to 300 meters. At about 1,400 meters depth, we recorded this pelagic holothurian, or deep-sea swimming cucumber. It differs from other sea cucumbers because it resembles a jellyfish. Midwater surveys increase our knowledge about the largest, yet one of the least understood, natural communities on Earth, the water column – a
Deep-sea swimming cucumber(NOAA Office of Ocean Exploration and Research, Mountains in the Deep: Exploring the Central Pacific Basin)